How to get to Koh Tao
A complete detail of How to get to Koh Tao Island update 2025 - 2026 Travel to Koh Tao Island&nb...
Snorkeling & Adventures Tour (Pick up from Koh Tao)

Price: Adult THB650 / Child THB325 (tall not over 140 cm.)
Itinerary
09.00-09.45 a.m. Start to pick up
10:00 a.m. Depart from Mae haad Pier
- Shark Bay is known for its many resident blacktip reef sharks. The best time to spot them is in the morning.
Both blacktip reef sharks and green turtles can be seen in Shark Bay.
- Aow Leuk Sandy Bay is a "deep concave" bay that goes into the shore and has a relatively deep water level. The deep water makes Ao Leuk ideal for snorkeling. The view of Ao Luek is amazingly beautiful.
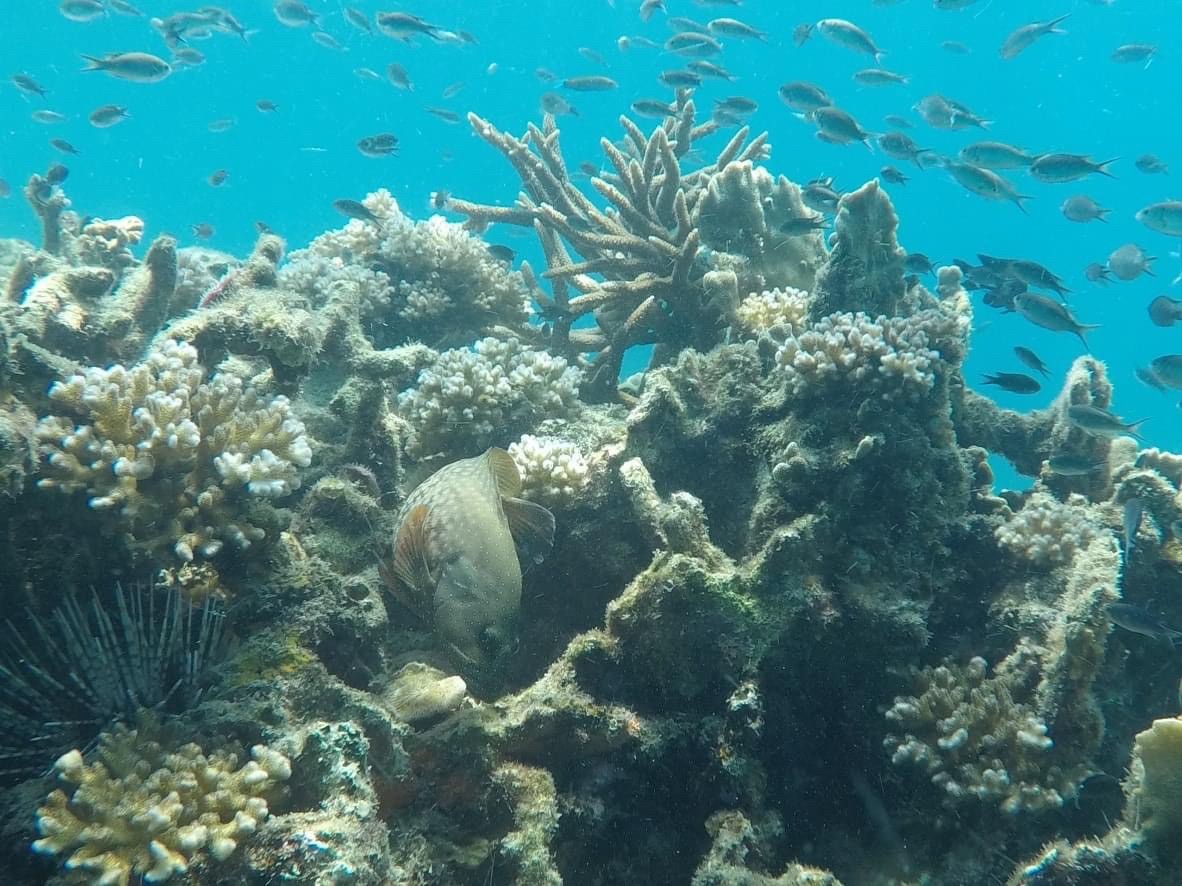
- Hin Wang Bay is a large bay full of rocks and this area is full of beautiful corals
- Mango Bay is a large bay with small beaches and coral reefs on both sides of the bay. In the past, there were many mango trees.
- Koh Nang Yuan is one of the 10 most beautiful islands in the world and the highlight to go up on the hilltop to take photos at the island's viewpoint on the south side
17.00 p.m. Return to the Pier
Tour Included
- Air-conditioned room, Music on board
- Free Transfer (pls recheck pick up area available)
- Snorkeling equipment and Life jacket
- Insurance
- Lunch, drinks, and fresh fruit on board
- Tourist guide License (Multi Language Speaking)
Tour Excluded
❌Entry fee to Koh Nangyuan❌
Foreign adults: 250 baht, children: 120 baht.
**Noted** Child prices tall not over 140 cm. but tall under 80 cm it will be Free of Charge





A complete detail of How to get to Koh Tao Island update 2025 - 2026 Travel to Koh Tao Island&nb...
Samet Ferry offers the only ferry service to Koh Samet. The ferry is suitable for everyone, inc...
Seudamgo Office at Laem Sok Pier For inquiries, please call 096-228-4000. Located at Laem So...
...